Harvey sube a categoría 4 y tocará Texas esta noche
Notimex, 25 de agosto de 2017
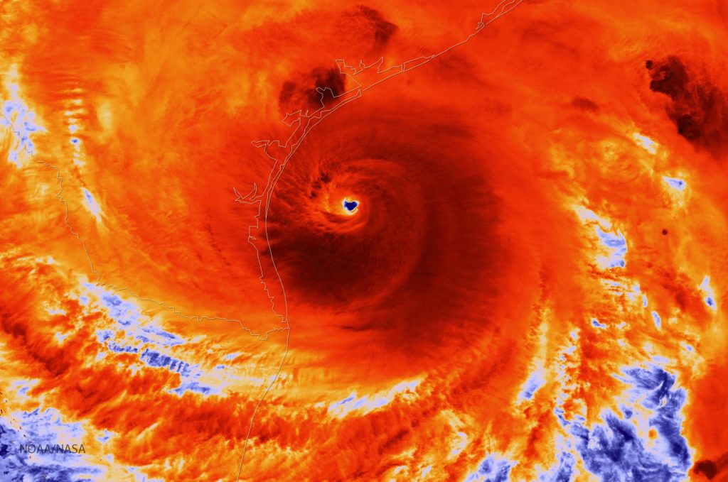
Houston.- El huracán Harvey aumentó esta tarde su intensidad a categoría 4, luego que sus vientos máximos superaron los 210 kilómetros por hora frente a las costas del sur de Texas, informó el Centro Nacional de Huracanes (CNH) de Estados Unidos.
En su reporte de las 18:00 horas locales (23:00 GMT), el organismo detalló que el fenómeno continúa fortaleciéndose mientras avanza hacia tierra del estado de Texas, donde las autoridades se mantienen en alerta máxima.
Harvey se encuentra ahora convertido en una poderosa tormenta con vientos de entre 210 y 250 kilómetros por hora, lo que supera los pronósticos del propio CNH y encendió los focos rojos en las comunidades del sureste texano.
El huracán incrementó también su marcha y se espera que toque tierra alrededor de las 21:00 horas de este viernes (03:00 GMT del sábado) en algún punto al norte de Corpus Christie, añadió el CNH.

